Maui - A Day on the Water

Saturday ended up being the nicest day we've had (from the perspective of the weather), and we took full advantage by spending the day on the water. I started early, before the sun came up by heading down to the Kehei boat dock and heading out for a a couple of morning dives. It was pitch black when I left, with Justine still in bed. I got to the boat dock about 6:00, and the boat was ready to go. It was a small boat - only six divers which was perfect. The morning was starting off calm and clear, which boded well for the dives.

We were out to the first of the dives sites before the sun really come up above the volcano, which gave us a great view of the sunrise from the water. We were doing our first dive off the back side of Molokini, the volcanic crater about 3 miles offshore from Maui. Once the sun was up we dropped into the water and did a dive along the back side of the crater. The water was calm and the visibility was good. The guy leading the dive was great, and stopped to point out some interesting wild life along the wall. We saw some lobsters, a few small white tipped reef sharks, an octopus, and lots of great reef fish. I had hopped that we might see something big out in the open ocean, but that was not to be.

It was a good dive, and I did surprisingly well on air, and lasted almost 50 minutes on the dive. It was good to be back in the water. After we were all back on board, we headed to a set the guys call "Five Graves", which strangely enough was just offshore from our hotel. Is was a shallow dive among a series of rock caves and swim throughs. While I wasn't all that impressed with the choice initially, it ended up being a spectacular dive.

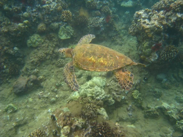
After a shortish surface interval, we dropped back into clear, calm waters. There were some good sized fish hanging around the boat looking for handouts, which the captain obliged. Once the group was in the water, we started exploring the coral heads around the area. Almost immediately our dive leader found one of the biggest turtles I've ever seen, sleeping under one of the coral heads. We then went through a series of arches which provided some good photo opps. Not long after was the highlight of the dive. During the briefing our guide had mentioned a cave that had an air pocket in the top that was big enough for our whole group to surface in. It sounded pretty cool, and he mentioned that turtles often sleep in there as well.

On the way there, we poked our heads not some smaller caves - one had the biggest white tipped reef shark I'd ever seen. It must have been a good 6 feet long, which is big for that type of shark. We saw a couple of more turtles, before we got to the main cave. We headed into it, and sure enough there were three big turtles, all snoozing on the bottom of the cave. The we all got a huge surprise - the cave was occupied by a massive Hawaiian Monk Seal. These are very rare - apparently only about 1,500 exist - and are almost never seen in this part of the islands while diving. He was big - must have been 8 or 9 feet long, and our guide felt it was probably 400 pounds. He never really got too worried by us, and was content to hang out in the cave. Eventually he got sick of us and swan out (scaring a snorkeler in the process), hung out on the surface until we left the cave, then headed back inside. Not long after the seal encounter I had a turtle run into me. It literally couldn't see me, and ran right into me. The poor creature had these tumours growing over both its eyes and obviously couldn't see whee it was going. I managed to stay out of its way, and off it went into the blue. The rest of the dive was a bit anticlimactic, as you can imagine.

I was back at the hotel by about 11:00, and met Justine by the pool. We decided to head to the beach and do some snorkelling. We went over to Makena Surf, the beach where I had just been diving and setup on the beach. We snorkelled for about an hour, and had a great time. We saw more turtles, lots of cool fish and just enjoyed hanging your in the water.

We took a break from the water and headed into Kehei for some lunch. We had taco salads and some shaved ice for desert, before heading back to the beach to lounge around and do some more snorkelling. We went back to the same beach, but went to the other end of it this time. While different, the snorkelling was again quite good. We saw more turtles, and explored the reef system. At the end of the dive, as I was leaving the water I noticed three turtles that seemed to be caught in the rocks pretty much right at the shore. The swell was pretty big in that spot, and it looked like they were trapped. After further observation, they were actually feeding on some of the algae that was rowing on the rocks in the tidal swell. It must have been tasty, as they were getting pretty battered by the waves.

We got back to the hotel about 4:00, and after dropping our gear went out to the hotels 9-hole mini golf course. This was pretty cool. 9 holes, but made of actual grass, so it played like a proper putting green. The layout was pretty good - one hole was completely unplayable but other than that good fun. We played two "rounds" and Justine managed two hole in ones! It was a fun way to spend an hour.

We order in pizza and spent the evening relaxing I our room. Prior to sunset, we watched whales from our balcony. We saw a few breaches in the distance, watched a couple dive, and lost count of the number of blow spouts we saw. It's too cool to be sitting on your balcony and see whales. Even if they are far away. We'll go out whale watching later in the week. We did wander down to the beach to see if we could get some pictures of the sunset, but it ended up being a bit of a bust.

iphone-(null)-0.jpg
iphone-(null)-0.jpg
iphone-(null)-3.jpg
iphone-(null)-3.jpg
iphone-(null)-5.jpg
iphone-(null)-5.jpg
iphone-(null)-6.jpg
iphone-(null)-6.jpg
iphone-(null)-8.jpg
iphone-(null)-9.jpg
iphone-(null)-10.jpg
iphone-(null)-10.jpg
iphone-(null)-11.jpg
iphone-(null)-12.jpg
iphone-(null)-16.jpg
iphone-(null)-16.jpg
iphone-(null)-17.jpg
iphone-(null)-20.jpg